
Wetterextreme
Der Klimawandel hat Hurrikan Melissa verstärkt
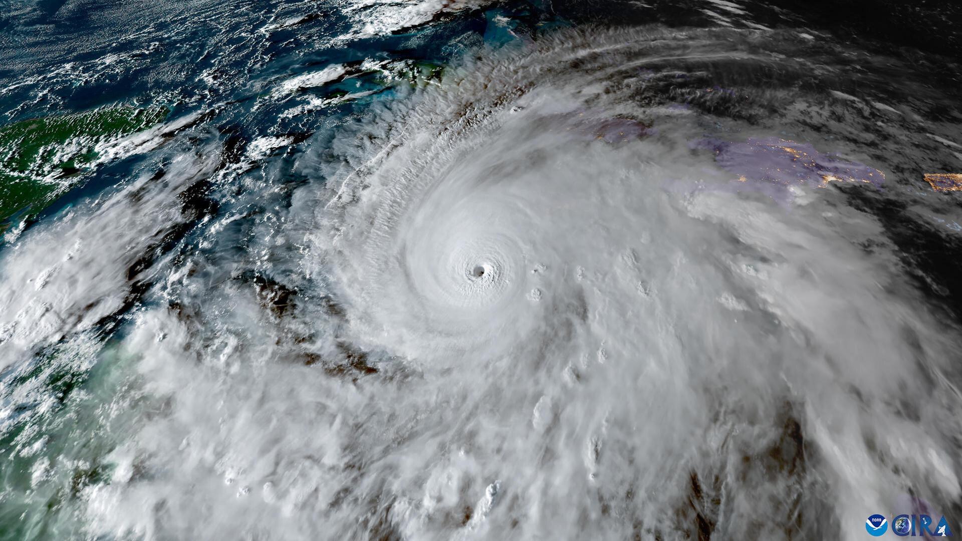
Melissa war wohl der stärkste Hurrikan, der je auf Jamaika traf. “Nach unseren Befunden hat der Klimawandel Melissa in jeder Hinsicht verstärkt“, sagt Extremwetterforscher Ben Clarke. Er beziffert auch, um wieviel Prozent der Hurrikan stärker wurde.







